Ville inclusive, vivante et sûre Rendre l’espace public aux Vanvéennes et aux Vanvéens Nous créerons un plan Piéton pour une ville à pied, plus agréable et accessible
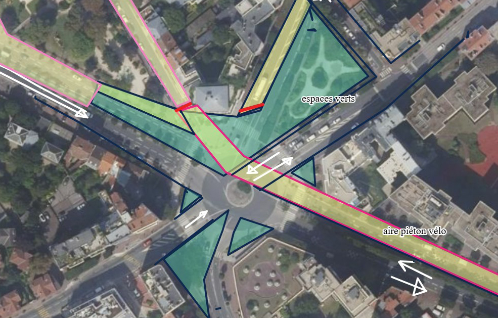
Ville inclusive, vivante et sûre Créer des espaces publics conviviaux et agréables Nous repenserons une Place de l’Insurrection plus conviviale et végétalisée et travaillerons à une magistrale piétonne
Ville inclusive, vivante et sûre Agir pour les mobilités douces Nous porterons un projet d’apaisement de l’espace public
Ville inclusive, vivante et sûre Participer à l’opération « La beauté sauvera le monde » Rendre la ville plus agréable à vivre pour toutes et tous en exposant l’art jusque dans la rue.
Ville inclusive, vivante et sûre Renforcer la direction culturelle Créer un poste de chargé de développement des publics au sein de la Direction de la Culture.